Mediazioni
Consulenze tecniche immobiliari e commerciali

Ricerca avanzata

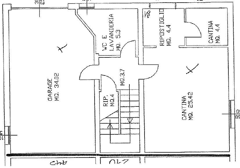
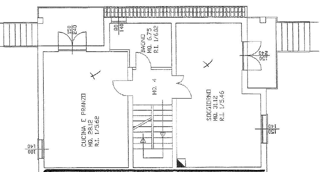
MODENA EST - VILLETTA DI TESTA CON AMPIO GIARDINO

Appartamento

MODENA EST - VILLETTA DI TESTA CON AMPIO GIARDINO

€ 570.000

GEOMETRA BEVINI

V.le Caduti sul Lavoro, 134

41122 Modena (ITALY)